
Archaeologists have discovered a mysterious shipwreck filled with treasures that has sat beneath the waters of the Yangtze river for 150 years.
Cool, right?
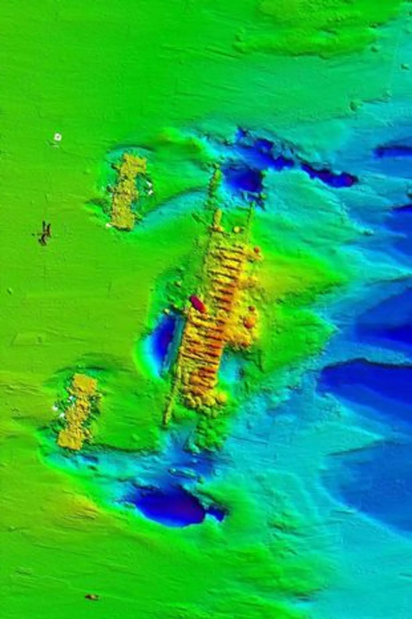
The 125-foot ship was raised from its resting place on the bottom of Asia’s longest river, and some of the haul that has lain inside it has now been revealed.
Obviously, the team behind it are very excited.
Advert

They’ve catchily titled it ‘Yangtze Estuary No. 2’ and declared it one of the best preserved and largest shipwrecks ever found in China.
On the ship, the archaeologists found a load of Chinese-made crockery, including pots and bowls, as well as a number of other finely-crafted artefacts.
There were clay pieces, wooden relics, and even – if you’d believe it – a Vietnamese hookah tank or two.
Advert

The state of preservation that the ship is in, as well as the items they’ve found on it, are of huge significance to those interested in the study of the history of shipbuilding, ceramics in China, and the shipping industry.
The shipwreck was actually discovered back in 2015, but they’ve spent years painstakingly examining and exploring the underwater site.
On November 21, they finally raised it from the deep.
Advert
The salvage operation took around three hours and saw 22 huge arched steel beams utilised to bring the ship and a watertight chamber up to the surface.

According to local media, the whole lot weighed 8,000 tonnes.
The vessel is largely intact and is 33-feet wide with 31 cabins, according to the sonar scanning beforehand.
Advert
They’ve so far been able to confirm that the wooden ship comes from around 1862 to 1875, during a period known as the Tongzhi period of the Qing Dynasty.

The mysterious boat has been sat just 5.5 metres beneath the Yangtze near to the end of Hengsha Island close to the Chongming district of Shanghai.
Now, they’ll be performing a whole heap more research.
Advert
This time they’ll have the added benefit of the ship not being on the silty floor of a busy river.

It will be taken to a dock at a former shipyard in Shanghai where the scientists and archaeologists will be able to have a proper look and truly uncover the details of what happened to the ship.
In the end, it could even be turned into a shipwreck museum as part of a cultural heritage plan organised by the city of Shanghai.
Advert
We’ll just have to see how the situation develops, but it’s fascinating stuff, you’d have to agree.